| 価格 | 550万円 |
|---|---|
| 現況 | 更地 (引き渡し可能日:相談) |
| 進捗 | 商談可 |
| 取引態様 | 仲介 |
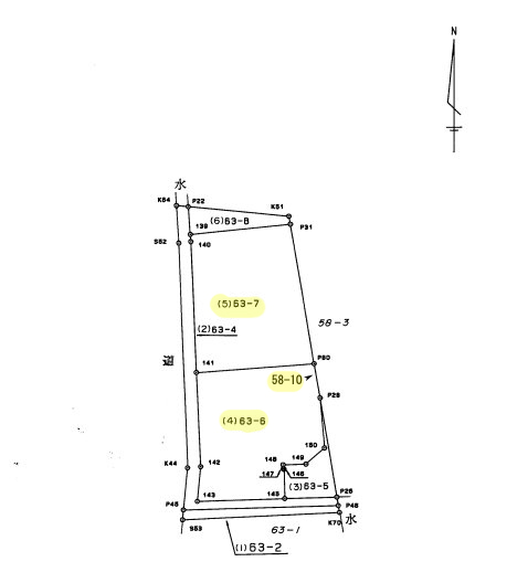
| 所在地 | 山口県宇部市大字西岐波63-6 |
|---|---|
| 交通 | 宇部線 丸尾駅 (最寄バス停)村松東 徒歩7分 |
| 学校区 | 西岐波小学校、西岐波中学校 |
| 周辺大学 | 山口大学工学部 |





| 土地面積 | 489.7㎡、 |
|---|---|
| 坪単価 | |
| 建ぺい率 | 45% |
| 容積率 | 100% |
| 地目 | 宅地 |
| 用途地域 | 低層住宅専用地域(第1種) |
| 地勢 | 高台 |
| 土地権利 | 所有権 |
| 電気 | 中国電力 |
|---|---|
| ガス | 個別プロパン |
| 上水道 | 宇部市上下水道局 |
| 下水道 | |
| 接道 | 42条1項2号 |
| その他の設備 | |
| 備考・その他 | 敷地内に水道引込済 |
» 大きい地図で見る
※価格は変動する場合もあります。
※間取り、坪数などの詳細情報は実際には若干異なる場合がありますので、お問い合わせください。